Повномасштабна агресія РФ проти України

Курганна група (№1995) розташована на відстані 2,7 км на захід від південно-західної околиці села с. Кінські Роздори

Загальна інформація

Розташування

Район - Пологівський
Населений пункт - 2,7 км на захід від південно-західної околиці села с. Кінські Роздори

Вид культурної спадщини

Археологічні

Тип об'єкта

Споруди

Тип порушення

інформація уточнюється

Зона досліджень

Запорізька область

Карта

Історія об’єкта та опис порушення

Територія степу має величезну кількість курганних могильників (Табл 1). Термін “курган” або “могила” означає округлий або довгий земляний насип, зведений над одним чи кількома похованнями. Перші кургани почали з’являтися в степовій зоні Північного Причорномор’я у IV тис. до н.е. та проіснували до перш. пол. ІІ тис. н.е. Тривале використання таких насипів як могильників спричинило появу курганних груп. Кургани містять нашарування декількох історичних епох. Поховання, здійснені на різній глибині, розділяють на основні та впускні. Кожного разу курган досипали, на його верхівці встановлювали кам’яні стели, дерев’яні стовпи, неодноразово курган використовували під час тризни – обрядів, пов’язаних із вшануванням душ похованих предків.

Археологічні дослідження на території Запорізької області проводили в 70-80 –х рр.. під час розквіту розкопок, пов’язаних із зростанням будівництва меліоративних споруд (Тощев, Ельников, Дровосекова, Древности Запорожского края, 2003. 49-55). У той самий час починається інвентаризація пам’яток культурної спадщини.

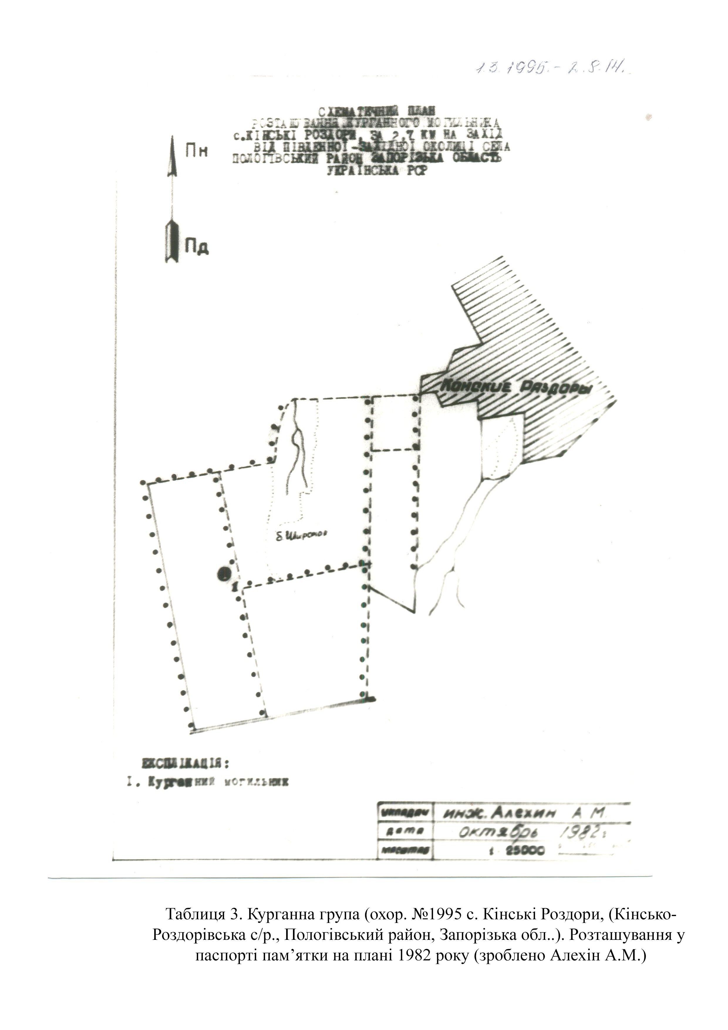
Курганну групу (охор. № 1995) вперше обстежив у 1982 рр.. науковий співробітник Запорізького обласного краєзнавчого музею Альохін А. М. (Табл. 2; 3) 

У 1984 році виконкомом Запорізької обласної ради народних депутатів прийняв рішення про включення курганної групи №1995 до списку пам’яток археології місцевого значення та затвердив її охоронні зони. (№354 23.10.1984 р.). 

Курганна група відповідає критеріям автентичності, а також пов’язана з історичними подіями, віруваннями та розвитком культури на цій території.

Згідно з паспортом, пам’ятка складається з трьох курганів з насипами різної форми. (Табл. 2; 3). Параметри насипів: 

курган №1: висота - 1,2 м; діаметр – 32 м;

курган №2: висота – 0,8 м; діаметр – 23 м;

курган №3: висота – 0,5 м; діаметр – 25 м;

На космічних знімках від 25.07.2022 з серверу Google Планета Земля Pro  (https://google-earth-pro. ) добре видно, що насип не не має суттєвих ушкоджень (Табл. 4).

Відповідно до мапи хронології війни, під час наступу на Півдні в лютому 2022 року південна частина Пологівського району Запорізької області була окупована російськими військами (Хронологія війни агентство «Настоящее время» https://www.currenttime.tv/a/32202314.html ; Мапа Deep State https://deepstatemap.live ). 
Згідно з мапою історії війни, наступ на м. Пологи проводили підрозділи «Ахмат», які окупували м. Мелітополь та м. Василівка (https://deepstatemap.live ).

Протягом 2022 - 2023 років розташовані тут підрозділи: 114-ий мотострілковий полк, 1430-й мотострілковий батальйон, 291-й гвардійський мотострілецький полк.

Завдяки знімкам високої якості (на 23 вересня 2023 р. космічний знімок супутника Sentinel-2 L2A з сервера знімків www.bing.com) можна встановити, що на курганах групи №1995,1-3 війсковою спорудою типу рів зруйновано поли (Табл. 5).

Галерея

Додаткові файли

Відповідальні особи

  • - Окупаційна адміністрація м. Токмак (Пологівський район, Запорізька обл.)
  • - Військові окупанти, що санкціонували організацію спорудження оборонних споруд

Галерея відео

інформація уточнюється

Джерела

Посилання